猫のお腹が急に膨らんできて、「太っただけ?それとも腹水?」と不安になり、見分け方を調べている方も多いのではないでしょうか。
結論から言うと、猫の腹水は見た目だけで判断するのが難しく、放置すると命に関わる病気が隠れていることがあります。
この記事では、猫の腹水の見分け方、太りや便秘との違い、自宅でできる確認ポイント、動物病院を受診すべき目安をわかりやすく解説します。
猫の腹水とは?

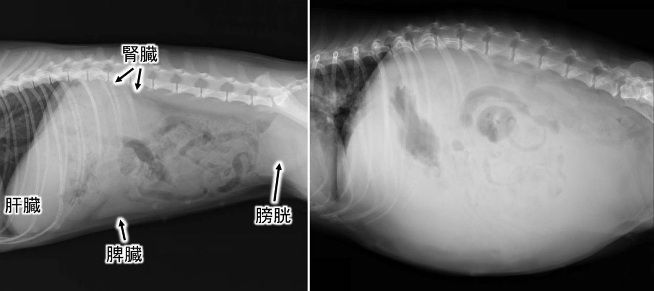
腹水とは、腹腔内に液体が異常にたまった状態を指します。
健康な猫では腹水はほとんど存在せず、たまっている場合は何らかの病気が関係している可能性が高いです。
猫の腹水の見分けポイント

腹水が疑われる場合、次のような特徴が見られることがあります。
- お腹全体が張ったように膨らむ
- 左右対称に膨らんで見える
- 触ると中で液体が動く感じがする
- 体重が急に増えたように見える
ただし、無理に触って確認するのは避けましょう。
太り・便秘との違い

お腹が膨らむ原因には、腹水以外にも次のようなものがあります。
太りの場合
- 全身に脂肪がつく
- 徐々に体重が増える
- お腹だけでなく背中や首も太くなる
便秘の場合
- 排便回数が減る
- お腹を触ると硬い
- 食欲は比較的保たれることが多い
腹水の場合は、急激な変化や元気消失を伴うことが多い点が特徴です。
自宅でできる確認ポイント

病院に行く前に、次の点を確認しておくと役立ちます。
- お腹の膨らみが急かどうか
- 食欲や元気が落ちていないか
- 呼吸が苦しそうでないか
- 体重の急な変化がないか
無理な自己診断は避け、異変を記録する意識が大切です。
すぐ動物病院を受診すべきサイン

次の症状がある場合は、早めに受診してください。
- お腹の急激な膨らみ
- 元気・食欲の低下
- 呼吸が荒い、苦しそう
- ぐったりして動かない
腹水は緊急性が高いケースもあります。
猫の腹水の主な原因

腹水がたまる原因には、
- 心臓病
- 肝臓病
- 腫瘍
- 猫伝染性腹膜炎(FIP)
など、重い病気が含まれます。
腹水が疑われたら

腹水は自然に治ることはほとんどありません。
早期に動物病院で検査を受けることが、猫の命を守る重要なポイントです。
よくある質問(FAQ)
Q. 腹水は見た目だけで判断できる?
見た目だけでは判断が難しく、検査が必要です。
Q. 腹水は必ず重い病気?
多くの場合、何らかの病気が関係しています。
Q. 触って確認してもいい?
強く触るのは避け、異変を感じたら受診しましょう。

